User Tools

Site Tools


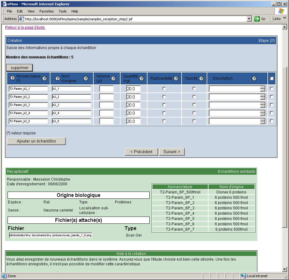
wiki:epims4_0:user:epw_sample_creation_2.png

epw_sample_creation_2.png

epw_sample_creation_2.png
Date:
2008/09/24 15:35
Filename:
epw_sample_creation_2.png
Format:
PNG
Size:
34KB
Width:
923
Height:
896
References for:
epwebcreation

This list might not be complete due to ACL restrictions and hidden pages.